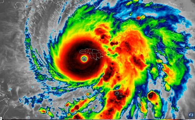
El huracán Melissa tocó tierra en el Caribe el lunes por la tarde y se espera que sea la peor tormenta de la historia.
Se espera que el huracán de categoría 5, que ha sido descrito como la “tormenta del siglo” y ahora es más fuerte que Katrina, cause destrucción en toda Jamaica con graves inundaciones y vientos de 300 km/h.
El ojo de la tormenta está actualmente rodeado por fuertes vientos, también llamado pared del ojo.
Según el Centro Nacional de Huracanes, fuertes vientos se dirigieron hacia Jamaica antes de que la tormenta tocara tierra cerca de New Hope alrededor de la 1 p.m.
Los ministros han advertido a los jamaiquinos que no “apuesten contra Melissa” y advirtieron que cualquiera que no se proteja está poniendo en riesgo su vida.
La tormenta alcanzó el lunes la categoría 5, la fuerza máxima, y ya ha comenzado a azotar la costa con vientos y olas “que amenazan la vida”.
Los meteorólogos confirmaron que Melissa era ahora más violenta que Katrina, que causó daños estimados en 125 mil millones de dólares y mató a 1.392 personas cuando azotó Nueva Orleans en 2005.
Melissa es uno de los huracanes más poderosos que jamás haya tocado tierra en el Atlántico. Solo otras dos tormentas lograron esto en el pasado: el huracán Dorian en 2019 y el huracán del Día del Trabajo en 1935.
El huracán Melissa tocó tierra en el Caribe el lunes por la tarde y se espera que sea la peor tormenta de la historia. El ojo de la tormenta está actualmente rodeado por fuertes vientos
La gente nada en el agua mientras el huracán Melissa se acerca a Kingston, Jamaica, el martes
Dorian también tuvo vientos de 185 por hora cuando devastó las islas Ábaco en las Bahamas.
Jamaica no había sido azotada por un huracán tan poderoso desde 1988, cuando Gilbert tocó tierra.
Este huracán fue un huracán de categoría 4 que azotó el oeste de Kingston.
No se espera que Melissa llegue a Estados Unidos, pero los meteorólogos han advertido sobre fuertes olas a medida que la tormenta avanza a lo largo de la costa este.
Según el Centro Nacional de Huracanes, la tormenta se mueve lentamente hacia el noreste.
“Durante los próximos días, se espera que el huracán acelere hacia el noreste dentro del flujo antes de alcanzar una depresión cada vez más fuerte sobre el sureste de Estados Unidos”, dijo la agencia.
“Este flujo de dirección llevará el núcleo de Melissa sobre Jamaica hoy, sobre el este de Cuba el miércoles temprano y sobre el sureste o centro de las Bahamas más tarde el miércoles”.
“Se espera que el huracán pase cerca de las Bermudas el jueves por la noche o la madrugada del viernes”.
Se ve a un hombre quedando impresionado mientras camina por Kingston el martes.
Mientras tanto, Florida se vio afectada por 20 pulgadas de lluvia que azotaron partes del Estado del Sol el domingo por la noche y provocaron inundaciones repentinas hasta el lunes.
El Servicio Meteorológico Nacional (NWS) ha clasificado el lento sistema de tormentas como una “situación particularmente peligrosa”.
En las redes sociales surgieron imágenes y videos que mostraban el complejo de cuatro estrellas The Boca Raton en Boca Raton inundado por las inundaciones.
Agua turbia entró en el vestíbulo del hotel de lujo, inundando el vestíbulo con muebles de jardín y dispersándose por todo el interior mientras el personal tuvo que recurrir a atravesarlo.
También surgieron imágenes de carreteras en Mount Dora, en la parte central del estado, que habían sido completamente arrasadas por las lluvias torrenciales.
El área se vio afectada por hasta 17,8 pulgadas de lluvia, y cerca de Eustis experimentó 19,7 pulgadas de lluvia en 24 horas.
Zach Law, meteorólogo del NWS, dijo ABC Noticias que partes del estado no habían experimentado tales niveles desde el huracán Ian en 2022.
Mientras tanto, Florida se vio afectada por 20 pulgadas de lluvia que azotaron partes del Estado del Sol. Imágenes y videos surgieron en las redes sociales que mostraban el resort de cuatro estrellas The Boca Raton en Boca Raton siendo inundado por las inundaciones.
Una sección arrasada de Donnelly Street en Mount Dora se ve aquí el lunes después de que los aguaceros inundaran el área con casi 20 pulgadas de lluvia.
Hasta 17,8 pulgadas de lluvia cayeron en el Monte Dora, mientras que cerca de Eustis recibió 19,7 pulgadas de lluvia en 24 horas.
Un portavoz de The Boca Raton dijo que el área ha sido despejada para que se seque y que el hotel ha vuelto a funcionar con normalidad sin impacto para los huéspedes.
La mayor parte del agua estancada de Boca Ratón disminuyó el lunes después de que el sistema de gestión de aguas pluviales de la ciudad alcanzó el atraso, dijeron los funcionarios.
Algunas áreas en el sureste todavía luchaban con agua estancada hasta el lunes por la tarde y no hubo informes de daños significativos a las viviendas.
Según el departamento de policía local, hasta 100 coches fueron remolcados tras ser abandonados el domingo por la noche.
El aeropuerto de Boca Ratón tuvo que cerrar temporalmente debido a graves inundaciones antes de reabrir el lunes.
Tras las inundaciones que azotaron el estado a principios de esta semana, los meteorólogos dijeron que ahora se avecina un “clima otoñal” y que las perspectivas son estables.
















